Zdecydowana większość map pochodzi z ksiąg pamięci (lub publikacji o charakterze takich ksiąg) których celem było upamiętnienie zgładzonych społeczności żydowskich, głównie w Europie Środkowej i Wschodniej. Najczęściej księgi pamięci dotyczyły małych miejscowości. Najwięcej ich ukazało się w latach 60.-70. ubiegłego wieku, przeważnie w Izraelu.
– Mimo że mapy nie były umieszczane w każdej z nich, bez wątpienia należały do jednych z najbardziej typowych elementów tych publikacji. Autorzy starali się w ten sposób ocalić kształt i charakter miast, miasteczek w Polsce, Białorusi, Ukrainie, Litwie, Mołdawii czy na Słowacji. Tak ratowali pamięć o miejscach które zostały zniszczone w czasie II wojny albo po wojnie bezpowrotnie się zmieniły. Obok nich w atlasie są także mapy tworzone przez Żydów i nie-Żydów pochodzące ze zbiorów Ośrodka „Brama Grodzka – Teatr NN” – tłumaczy Piotr Nazaruk z Ośrodka „Brama Grodzka - Teatr NN” w Lublinie, który opracował atlas i przygotował wystawę.
Wszystkich jest 158. Ułożone alfabetycznie od Annopola po Żołudzk Wielki na Ukrainie. Wystarczy zobaczyć kilka z nich by się zorientować, że autorzy stosują własne reguły kartograficzne. Skalą jest hierarchia ważności czy wyjątkowość miejsca. To, co z jakiegoś powodu rysujący mapę zapamiętał. Czasami rynek zajmuje całe miasteczko, budynki nie mają proporcji, odległości nie są rzeczywiste ale osobiste.
Zdaniem Piotra Nazaruka doskonałym przykładem są mapy puławskie. Międzywojenne miasto, przedwojenną żydowską dzielnicę i obraz powojennych Puław kilkanaście lat temu narysował 76-letni wówczas pan Jerzy Radomski.
– Im dalej od podwórka autora, tym detale w rodzaju zamarzniętej kałuży, składu desek i węgla, boiska i studzienek kanalizacyjnych pojawiają się coraz rzadziej, a w dzielnicy żydowskiej – okolicy zapewne słabo znanej Radomskiemu – znikają zupełnie – mówi.
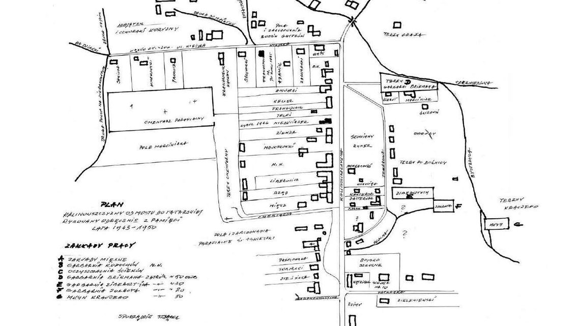
Dzisiejsze Piaski wyglądają zupełnie inaczej niż przedwojenne miasteczko. – Były zbombardowane, połowa domów się spaliła. Mieszkaliśmy przy Lubelskiej 81, teraz brat mieszka w tym domu pod numerem 70. Ale mogę mapę narysować jeszcze raz, choćby teraz – mówi Marianna Krasnodębska z domu Jarosz, która w 2001 roku narysowała trzyczęściową mapę przedwojennych Piask.
Pytana jak to możliwe, żeby dokładnie wiedzieć, tak dom po domu, jak się nazywali właściciele, gdzie były sklepy, gdzie apteka, fotograf, gdzie mieszkał lekarz z żona dentystką, co się znajdowało w oficynach tłumaczy: Myśmy wszyscy byli zżyci. Polacy i Żydzi. W domu czynszowym, który mieli moi rodzice była szkoła. Przychodziły szkolne dzieci i inne. Był nauczyciel Polak i Ukrainiec, i Żydzi. Wszyscy się znali. Nie robiłam notatek, nie pisałam pamiętnika, po prostu tamte Piaski pamiętam. Mogłam je narysować. Mogę pokazać oryginał, bo mam w domu.
Marianna Krasnodębska, która jesienią zeszłego roku skończyła 95 lat, ma niezwykły życiorys. Za pomoc Żydom w czasie wojny, wraz z innymi członkami rodziny, została odznaczona medalem Sprawiedliwy Wśród Narodów Świata. Była w Związku Walki Zbrojnej, działała w „Wojskowej Służbie Kobiet” – Armii Krajowej. Tam pod pseudonimem „Wiochna” była dowódcą drużyny i łączniczką AK z Żydowską Organizacją Bojową w Piaskach. O swoich doświadczeniach pani porucznik opowiada młodym ludziom na spotkaniach w szkołach i bibliotekach.
Jej mapa Piask, której fragment pokazujemy jest, zdaniem Piotra Nazaruka tą, która w sposób symboliczny łączy w atlasie mapy „żydowskie” i „nieżydowskie”.
W czwartek 30 maja o godz. 17 w Galerii Teatru NN (ul. Grodzka 34 w Lublinie) będzie wernisaż wystawy części map zebranych w „Atlasie map pamięci”. Wstęp wolny.














Komentarze